-
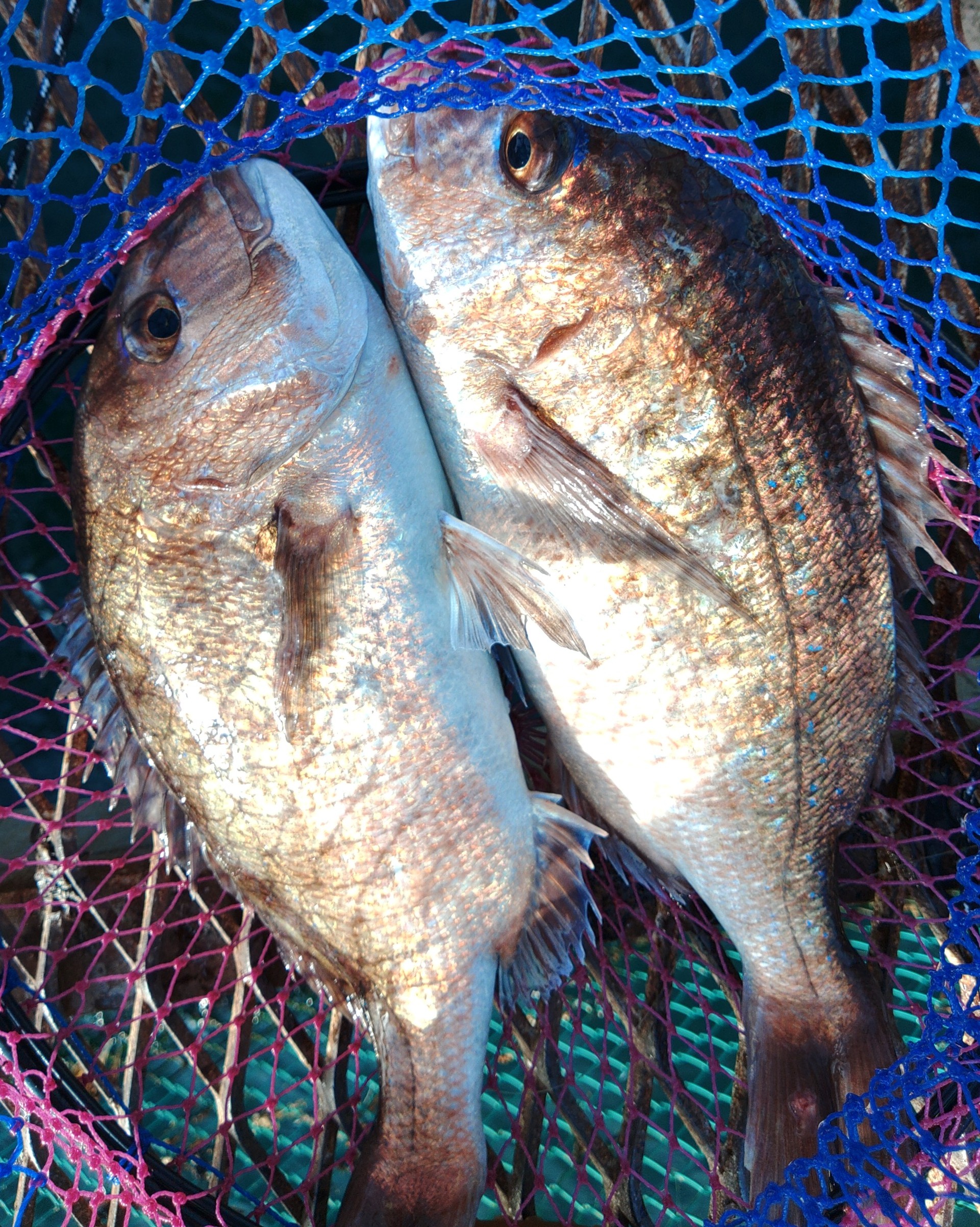
日付 2026/1/15(木) 釣り人 寺地様 大きさ・数 2尾 魚種 マダイ エサ アジ切身 ポイント Dポイント 底
ルアー釣りもできる! 大阪府最南端の釣堀
海洋釣り堀 小島養漁場
営業時間
6時~16時・16時30分~22時・16時30分~5時30分
(釣りの方は5時30分までに退場。キャンプの退場は10時です)
(毎日夜釣り 金・土のみオールナイト釣り&キャンプは予約制)
072-495-5175
大阪府泉南郡岬町多奈川小島815
| 日付 | 2026/1/15(木) |
| 釣り人 | 寺地様 |
| 大きさ・数 | 2尾 |
| 魚種 | マダイ |
| エサ | アジ切身 |
| ポイント | Dポイント 底 |